
Attraktives Baugrundstück in Gaienhofen-Horn – nur wenige Gehminuten zum Bodensee
Grundlagen
- Preis pro qm: €867
- Kategorie: Trade Site
- Typ: Grundstück
- Status: Kauf
- Schlafzimmer: 5
- Badezimmer: 2
- Fläche: 156 m²
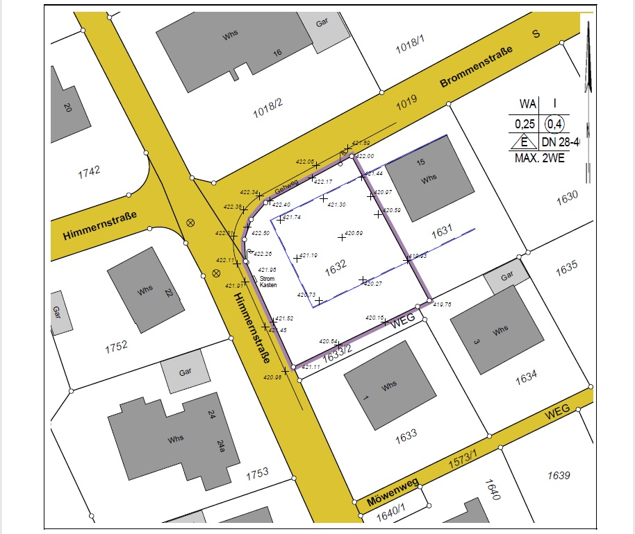
- Grundstücksgröße: 634 m²
Objektbeschreibung
-
Beschreibung:
Beschreibung
In begehrter Wohnlage von Gaienhofen-Horn bietet sich eine seltene Gelegenheit: Dieses attraktive Baugrundstück mit 634 m² befindet sich nur etwa 700 Meter vom Bodensee entfernt.
Das Grundstück liegt in einem ruhigen und gewachsenen Wohngebiet, das überwiegend von Einfamilienhäusern sowie kleineren Mehrparteienhäusern geprägt ist. Die Umgebung bietet eine angenehme Nachbarschaft, viel Grün und eine entspannte Wohnatmosphäre – perfekt für Familien, Ruhesuchende oder als Lebensmittelpunkt in einer der schönsten Regionen am Bodensee.
Das beliebte Strandbad Horn erreichen Sie bequem fußläufig in rund 10 Minuten – ideal für alle, die die besondere Lebensqualität der Höri und die Nähe zum Wasser genießen möchten.
Für das Grundstück liegt bereits eine durchdachte Vorplanung für ein modernes Einfamilienhaus vor. Geplant ist ein hochwertiges Wohnhaus in energieeffizienter Holzständerbauweise der renommierten Firma Hanse Haus, das zeitgemäße Architektur mit nachhaltigem Bauen verbindet. Die Planung bietet eine ideale Grundlage, um Ihren Traum vom Eigenheim schnell und unkompliziert zu realisieren, kann selbstverständlich aber auch an individuelle Wünsche angepasst werden.
👉 Gerne stellen wir Ihnen weitere Informationen zur Verfügung oder präsentieren Ihnen das Grundstück persönlich vor Ort.
Lage
Gaienhofen-Horn liegt idyllisch auf der Halbinsel Höri am westlichen Bodensee und zählt zu den besonders beliebten Wohnlagen der Region. Der Ort verbindet naturnahes Wohnen mit hoher Lebensqualität und ist ideal für Familien, die Ruhe, Natur und die Nähe zum Wasser schätzen.
Das Grundstück befindet sich in attraktiver Wohnlage, nur wenige Minuten vom Bodenseeufer entfernt. Die Umgebung ist geprägt von gepflegten Einfamilienhäusern, viel Grün und einer ruhigen, familienfreundlichen Nachbarschaft. Spazier- und Radwege, Badeplätze sowie der Hafen sind schnell erreichbar und bieten zahlreiche Freizeitmöglichkeiten direkt vor der Haustür.
Im nahegelegenen Gaienhofen befinden sich Kindergarten, Grundschule und eine Gemeinschaftsschule. Einkaufsmöglichkeiten für den täglichen Bedarf, Bäckereien, Ärzte und Gastronomie sind ebenfalls gut erreichbar.
Die Stadt Radolfzell am Bodensee liegt nur etwa 15 Minuten entfernt und bietet eine umfangreiche Infrastruktur mit weiteren Einkaufsmöglichkeiten, Schulen, medizinischer Versorgung sowie einem Bahnhof mit guten Bahnverbindungen Richtung Konstanz, Singen und Zürich.
Die reizvolle Lage am Bodensee, das milde Klima und die Nähe zur Schweiz machen Gaienhofen-Horn zu einem besonders attraktiven Wohnort für Familien.
Ausstattung
Highlights auf einen Blick:
- Baugrundstück in attraktiver Lage von Gaienhofen-Horn
- Nur ca. 700 m zum Bodensee
- Strandbad Horn fußläufig in etwa 10 Minuten erreichbar
- Ruhiges, gepflegtes Wohngebiet
- Vorplanung für modernes Einfamilienhaus vorhanden
- Hoher Freizeit- und Erholungswert durch die Nähe zum See und zur Natur
Alle Beschreibung anzeigen